連日雨でも慶良間でENJOY♪

2017年06月19日

慶良間FUNダイビング!!

沖縄が世界に誇れる海、慶良間諸島!
2014年に国立公園として指定され、さらに注目度は上がりました。
慶良間ブルーと呼ばれる透明度、サンゴ、マクロ~ワイドまで多彩な生物たち。
どんなダイバーでも虜になる海がここにあります♪
慶良間FUNダイビングの様子は⇒こちらのブログをチェック♪
沖縄 ダイビング 慶良間 FUNダイビング
慶良間FUNダイビングの紹介ページはこちらから!
↑パソコンサイトです♪
FUNダイビングの紹介ページはこちらから!
↑携帯サイトです♪

 

はいたい!
YUKIHOです☺

連日雨雨雨・・☔
いつになったらやむんだ~~~

あまりに降りすぎるので逆に笑えてきちゃいますねっ
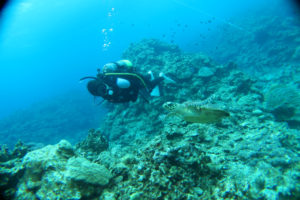
今日の慶良間は、雨の影響で土が流れ込み、水面の透明度30㎝くらいになりました(笑)

そんな中でもFUN&体験とカメも全員GETし、ボートの上も終始和気あいあいで楽しんでこれましたよ~🎵

①②タマナーファーム ③野崎

FUNチームはリピーターのYさんと、船が苦手で久々の慶良間とのこと。
カメも久々の再会?でしたね~🐢✨

沖縄 慶良間 慶良間諸島 ファンダイビング ボートダイビング

沖縄 慶良間 慶良間諸島 ファンダイビング ボートダイビング

ラストはグルクン群れ群れ、サンゴ畑に、ネムリブカも登場で3ダイブ満喫!

沖縄 慶良間 慶良間諸島 ファンダイビング ボートダイビング

沖縄 慶良間 慶良間諸島 ファンダイビング ボートダイビング

明日も楽しみましょうね~!!

体験チームは3組のゲスト様と、潜ったり、船上でゆんたくしたりとそれぞれのペースでのんびり潜っていただきました☺

沖縄 慶良間 慶良間諸島 体験ダイビング ファンダイビング ボートダイビング

沖縄 慶良間 慶良間諸島 体験ダイビング ファンダイビング ボートダイビング

沖縄 慶良間 慶良間諸島 体験ダイビング ファンダイビング ボートダイビング

沖縄 慶良間 慶良間諸島 体験ダイビング ファンダイビング ボートダイビング

今度は晴れの慶良間を楽しみに・・
またアルファダイブに遊びに来てくださいね!!!
1日ありがとうございました!✨✨

明日も慶良間へ~👍🎵

 

参加者全員にその日に撮らしていただいた写真をプレゼントしています!
慶良間体験ダイビングチームはこちらから♪
Iさんレンタルカメラ写真はこちらから♪

 

★メールでのお問い合わせ、ご予約はこちらから
★お電話でのお問い合わせ、ご予約TEL:098-955-4430まで♪

 

体験ダイビングで楽しんだ後は、ダイビングを始めよう!!

体験ダイビングに参加されたお客様。
海の世界はまだまだ楽しみが待っています!!
より楽しむために、ダイビングライセンスを取得してみませんか?
アルファでは安易な認定はしません。
代わりに、しっかりと海中世界が楽しめるようになります♪
沖縄 ダイビング 近海 体験
これから、本当のダイビングを始めたい方へ♪
↑パソコンサイトです♪
アルファのダイビングスクール!
↑携帯サイトです♪

久々&到着後は砂辺でFUNダイブ

2017年06月18日

ビーチFUNダイビング!!

ショップ前の海は、沖縄本島2大ビーチポイントの1つ、宮城(砂辺)海岸!
到着後に、ゆったりと潜りたい方。
ブランクがあるのでリフレッシュダイブをしたい方。
カメラ派ダイバーの皆さん…など。
施設も整っているので、のんびりと潜ることが可能です♪
ポイントの様子は⇒こちらのブログをチェック♪
沖縄 ダイビング FUNダイビング ビーチ 砂辺
ビーチFUNダイビングはこちらから!
↑パソコンサイトです♪
FUNダイビングの紹介ページはこちらから!
↑携帯サイトです♪

 

はいさい、安田です。
昨日までの雨風が嘘のよう!!
日中ほんの少し雨が降ることもありましたが、北谷店前の海はとっても穏やかでした😊
日曜日ということもあり、朝から多くのダイバーで賑わっていましたよ~✨

そんな砂辺でのんびりとFUNダイビングを開催。
5年ぶりということもあり、リフレッシュコースに参加していただいた、Sさま。
器材のセッティングから、基本スキル、緊急時の対応までしっかり復習👍
後半には、かなり水中の感覚を思い出されたようです😊
沖縄 ダイビング 砂辺 FUNダイビング
水中ポストはかなり貫禄ある感じに朽ちてきました‼(笑)

午後からは到着後のリピーターさんも一緒に✌
ドロップオフ沿いを泳ぎながら、生物観察~👀
バブルコーラルシュリンプや、ウミウシ各種、なんだか今日はたくさんいたロクセン等々🐠
沖縄 ダイビング 砂辺 FUNダイビング
沖縄 ダイビング 砂辺 FUNダイビング
沖縄 ダイビング 砂辺 FUNダイビング

なかでも一番興奮したのは、シラナミイロウミウシの産卵シーン💕
今月は、サンゴに続き、産卵シーンに出会うことが多いですね~✨
沖縄 ダイビング 砂辺 FUNダイビング

ちびっ子ゴンズイもとっても可愛かったです🎵
沖縄 ダイビング 砂辺 FUNダイビング

【S様】
久々のダイビングは楽しんでいただけましたか?
期間があかないうちに、また遊びに来てくださいね~😊
まずは、航空券から確保です‼(笑)

 

参加者全員にその日に撮らしていただいた写真をプレゼントしています!
ビーチFUNダイビングチームはこちらから♪

 

★メールでのお問い合わせ、ご予約はこちらから
★お電話でのお問い合わせ、ご予約TEL:098-955-4430まで♪

 

慶良間FUNダイビング!!

沖縄が世界に誇れる海、慶良間諸島!
2014年に国立公園として指定され、さらに注目度は上がりました。
慶良間ブルーと呼ばれる透明度、サンゴ、マクロ~ワイドまで多彩な生物たち。
どんなダイバーでも虜になる海がここにあります♪
慶良間FUNダイビングの様子は⇒こちらのブログをチェック♪
沖縄 ダイビング 慶良間 FUNダイビング
慶良間FUNダイビングの紹介ページはこちらから!
↑パソコンサイトです♪
FUNダイビングの紹介ページはこちらから!
↑携帯サイトです♪

雨風強し!!近海ボートFUNダイビング

2017年06月17日

万座ボートFUNダイビング!!

浅瀬にはサンゴが盛りだくさん。
深場にはレアなアケボノハゼや、ピグミーシ-ホース。
洞窟も砂地もありと、やみつきになるダイバー続出!?
1ダイブ毎に港に戻ってくるので、長時間の船が苦手な方にもオススメです♪
ポイントの様子は⇒こちらのブログをチェック♪
沖縄 ダイビング 万座 FUNダイビング
恩納村・万座でのFUNダイビングはこちらから!
↑パソコンサイトです♪
FUNダイビングの紹介ページはこちらから!
↑携帯サイトです♪

 

はいさい、安田です。
今日は朝から強い雨と風が。。。🌀
早く梅雨明けしてもらいたいですね~😭

そんな今日は、昨日からのゲスト様と、リピーター様とで近海FUNダイビングに。
ゲスト2名:スタッフ3名という、贅沢な船旅でした(笑)
沖縄 ダイビング 近海 FUNダイビング

1本目は嘉手納沖、イエローハウス前。
ドシャ降りのおかげで、水深3mまではモヤモヤ~。
しかし、入ってしまえば、色々な生物が見れましたね~😊
イガグリウミウシはいろんなところで4匹ほどいたような。
沖縄 ダイビング 近海 FUNダイビング

ウミウサギガイはソフトコーラルを食べまくり。。
沖縄 ダイビング 近海 FUNダイビング

オラウータンクラブ?オランウータンクラブ?どっちが正しかったっけ?
沖縄 ダイビング 近海 FUNダイビング

2本目は、UFOポイントこと、浄水場前に。
入っていきなりのスペシャルゲスト‼
沖縄 ダイビング 近海 FUNダイビング
人に慣れていないので、ちょっと遠かったですが、アオウミガメに出会うことが出来ました😊

手のひらサイズのオオコノハウミウシなどを見ながら、2台のUFOへ。
沖縄 ダイビング 近海 FUNダイビング
沖縄 ダイビング 近海 FUNダイビング
沖縄 ダイビング 近海 FUNダイビング
暖かいお湯が出ているので、魚たちも寒いのでしょうか?(笑)
僕たちも離れるのが恋しかったですね~。

【Yさん】【Kさん】
何だかんだ笑いっぱなしの2ダイブでしたね!
おかげさまで、マスク内に水が入りっぱなしでした(笑)
お二人が仲良くなっていただけたのは、僕たちもとっても嬉しかったですよ~🎵
また皆で一緒に潜りましょう‼
ありがとうございました~😊

 

参加者全員にその日に撮らしていただいた写真をプレゼントしています!
近海FUNダイビングチームはこちらから♪

 

★メールでのお問い合わせ、ご予約はこちらから
★お電話でのお問い合わせ、ご予約TEL:098-955-4430まで♪

 

自社船ベータ号!!

2017年、アルファダイブに強力なNEWフェイスが!
自社船・ベータ号の登場です!!
慶良間を主に、本島近海でのメニューも開催。
アルファダイブが提供する新スタイルを、お楽しみください!
沖縄 ダイビング 自社船
体験ダイビングの各メニューはこちらから!
FUNダイビングの各メニューはこちらから!

6月16日慶良間体験&FUNダイブ!

2017年06月16日

慶良間FUNダイビング!!

沖縄が世界に誇れる海、慶良間諸島!
2014年に国立公園として指定され、さらに注目度は上がりました。
慶良間ブルーと呼ばれる透明度、サンゴ、マクロ~ワイドまで多彩な生物たち。
どんなダイバーでも虜になる海がここにあります♪
慶良間FUNダイビングの様子は⇒こちらのブログをチェック♪
沖縄 ダイビング 慶良間 FUNダイビング
慶良間FUNダイビングの紹介ページはこちらから!
↑パソコンサイトです♪
FUNダイビングの紹介ページはこちらから!
↑携帯サイトです♪

 

はいたい!
YUKIHOです☺

いまだに停滞中の梅雨前線☔
梅雨明けまだかーいっっ

連日曇りや雨ですが、今日は無事に慶良間まで🎵
砂地ポイントメインにのんびりFUN&体験でした!

FUNチームはゆきほガイドで!

沖縄 慶良間 慶良間諸島 ファンダイビング ボートダイビング

沖縄 慶良間 慶良間諸島 ファンダイビング ボートダイビング

沖縄 慶良間 慶良間諸島 ファンダイビング ボートダイビング

沖縄 慶良間 慶良間諸島 ファンダイビング ボートダイビング沖縄 慶良間 慶良間諸島 ファンダイビング ボートダイビング

沖縄 慶良間 慶良間諸島 ファンダイビング ボートダイビング

カメやサメの登場も、ラッキー✌✨
私も含め全員東京在住or出身とのことで、チームTOKYOでした(笑)

体験チームは安田さんと🎵

沖縄 慶良間 慶良間諸島 体験ダイビング ボートダイビング

沖縄 慶良間 慶良間諸島 体験ダイビング ボートダイビング

沖縄 慶良間 慶良間諸島 体験ダイビング ボートダイビング

沖縄 慶良間 慶良間諸島 体験ダイビング ボートダイビング

お2人とも初めてでしたが、無事海の中へ・・慶良間の海へめんそーれ!
最後はシュノーケルも満喫できましたね~☺

本日ご参加くださったみなさま、ありがとうございました!!!
今度は太陽を引き連れて・・(笑)また一緒に潜りましょう!

 

参加者全員にその日に撮らしていただいた写真をプレゼントしています!
慶良間体験ダイビングチームはこちらから♪
Aさんレンタルカメラ写真はこちらから♪
慶良間FUNチームの写真はこちらから♪

 

★メールでのお問い合わせ、ご予約はこちらから
★お電話でのお問い合わせ、ご予約TEL:098-955-4430まで♪

 

ココがいいからアルファに決まり!!

ゲストから大好評のお菓子BOX!
小腹が空いた時、休憩中のお話と共に、晩御飯までのつなぎとして。
コーヒーやピーチティーなど、飲み物も充実しています!
沖縄 ダイビング アルファダイブ
オールシーズン快適!!嬉しい無料グッズ&システム♪
↑PC版はこちらから♪
ココがいいからアルファに決まり!
↑スマホ版はこちらから♪

サンゴの産卵ナイト✨一斉産卵の報告!

2017年06月14日

自社船ベータ号!!

2017年、アルファダイブに強力なNEWフェイスが!
自社船・ベータ号の登場です!!
慶良間を主に、本島近海でのメニューも開催。
アルファダイブが提供する新スタイルを、お楽しみください!
沖縄 ダイビング 自社船
体験ダイビングの各メニューはこちらから!
FUNダイビングの各メニューはこちらから!

 

はいたい!
YUKIHOです☺

少し遅くなりましたが、6月8日9日と観察をした砂辺のサンゴの産卵のご報告~✨

☆6月頭の1度目の産卵の様子はこちらを見てください!「砂辺にて今年初観察、サンゴの産卵☆

8日、いつも通りチェックから・・
持ってます持ってます・・

沖縄 北谷 砂辺 宮城海岸 サンゴ サンゴ産卵 2017 ビーチダイビング ダイビング

すぐに武富さんと安田さんに連絡をして!
いざ出陣✨

沖縄 北谷 砂辺 宮城海岸 サンゴ サンゴ産卵 2017 ビーチダイビング ダイビング

さっきよりたまご(バンドル)の姿はハッキリ見えるようになり。

沖縄 北谷 砂辺 宮城海岸 サンゴ サンゴ産卵 2017 ビーチダイビング ダイビング

22時15分ごろから静かに産卵が始まりました。
(実際はうねうねすぎて決して静かではありませんでしたが、表現です(笑))

沖縄 北谷 砂辺 宮城海岸 サンゴ サンゴ産卵 2017 ビーチダイビング ダイビング

沖縄 北谷 砂辺 宮城海岸 サンゴ サンゴ産卵 2017 ビーチダイビング ダイビング

オヤユビミドリイシとハナガサミドリイシ(かな?)を中心に、あちらこちらで産卵を観察。

砂辺の一斉産卵初日、無事観察終了でした✌

 

そして2日目、6月9日。

この日は砂辺にある大きなテーブルサンゴをチェックしにいくと
おやおやおや・・・

沖縄 北谷 砂辺 宮城海岸 サンゴ サンゴ産卵 2017 ビーチダイビング ダイビング

もしやこれはたまご・・!?
ということで、逸る気持ちを抑えてゲスト様に連絡・・

産むなら見たい!とのことで、この日は前日より潜られてたKさんも一緒にGOGO☆

沖縄 北谷 砂辺 宮城海岸 サンゴ サンゴ産卵 2017 ビーチダイビング ダイビング

目当てのサンゴはまだしばらく産みそうになかったので、ソフトコーラルやほかのミドリイシを観察しながら待つこと30分・・

沖縄 北谷 砂辺 宮城海岸 サンゴ サンゴ産卵 2017 ビーチダイビング ダイビング

沖縄 北谷 砂辺 宮城海岸 サンゴ サンゴ産卵 2017 ビーチダイビング ダイビング

戻ってみると、ぶわっとどかっとふわっと、砂辺NO.1の大きなテーブルサンゴの産卵をついにGET!!!✨

沖縄 北谷 砂辺 宮城海岸 サンゴ サンゴ産卵 2017 ビーチダイビング ダイビング

気づけば目の前はサンゴのたまご(バンドル)だらけに。
水面もピンク色!!

沖縄 北谷 砂辺 宮城海岸 サンゴ サンゴ産卵 2017 ビーチダイビング ダイビング

いや~いいもの見ちゃいました☺
初ナイトで、サンゴの産卵、しかもテーブルサンゴとすごいもの見れたKさんも、「もうダイビングやめてもいいかも~」と感動していただけたようで✨(でもやめないでくださいね💛笑)

10日間お気に入りにして見守り続けてた、別のサンゴたちもこの2日間で無事産卵を終えてました~お疲れ様~✨

本当はこの次の日も続くか観察したかったのですが海況不良のため中止に。
この時期にしてはラッキーなことにテーブルサンゴまで毎日潜り続けられたなあと・・・

来年こそは!ちゃんと!
あらかじめ日程など広告しますので!
5月末~6月頭とみなさま2週間くらい、柔軟に予定を空けといてくださいませ🎵(笑)

月末もタイミングがあれば別の種類の産卵狙ってきまーす!!

 

参加者全員にその日に撮らしていただいた写真をプレゼントしています!

★メールでのお問い合わせ、ご予約はこちらから
★お電話でのお問い合わせ、ご予約TEL:098-955-4430まで♪

 

ビーチFUNダイビング!!

ショップ前の海は、沖縄本島2大ビーチポイントの1つ、宮城(砂辺)海岸!
到着後に、ゆったりと潜りたい方。
ブランクがあるのでリフレッシュダイブをしたい方。
カメラ派ダイバーの皆さん…など。
施設も整っているので、のんびりと潜ることが可能です♪
ポイントの様子は⇒こちらのブログをチェック♪
沖縄 ダイビング FUNダイビング ビーチ 砂辺
ビーチFUNダイビングはこちらから!
↑パソコンサイトです♪
FUNダイビングの紹介ページはこちらから!
↑携帯サイトです♪

クマノミ調査第2弾は恩納村で!

2017年06月13日

自社船ベータ号!!

2017年、アルファダイブに強力なNEWフェイスが!
自社船・ベータ号の登場です!!
慶良間を主に、本島近海でのメニューも開催。
アルファダイブが提供する新スタイルを、お楽しみください!
沖縄 ダイビング 自社船
体験ダイビングの各メニューはこちらから!
FUNダイビングの各メニューはこちらから!

はいたい!
YUKIHOです☺

今日は恩納村のボートポイント「山田」で、大学院生のクマノミ研究の調査にお付き合い!
先月も違うポイントで潜ってくださったHさんと🎵

イナンビシでクマノミ調査ダイビング!!

早朝は雨どしゃぶり、雷ゴロゴロとどうなるかと思いましたが・・
無事1ダイブしてこれました~~~

ちょっと濁っていましたが、ポイント内のクマノミたちをぐるっと泳いで観察。
まずは深場のトウアカクマノミから✨

沖縄 恩納村 山田 ダイビング ボートダイビング 

たまごもありましたよ🎵

沖縄 恩納村 山田 ダイビング ボートダイビング 

トータル21コロニー(クマノミの住んでるイソギンチャクの数)観察できたようです。

沖縄 恩納村 山田 ダイビング ボートダイビング 

沖縄 恩納村 山田 ダイビング ボートダイビング 

クマノミはもちろん、他の生物いろいろ~!

沖縄 恩納村 山田 ダイビング ボートダイビング 

沖縄 恩納村 山田 ダイビング ボートダイビング 

沖縄 恩納村 山田 ダイビング ボートダイビング 

終わってからはまたクマノミの生態について教えていただき・・
冬にでもダイバーさん他にも集めて講習会をしてもらおうかなあと思ってます☺

どこでも見る身近なクマノミだけど、じっくり観察していくとなかなか奥が深くて面白いですよ~~!!!!

 

参加者全員にその日に撮らしていただいた写真をプレゼントしていますHさん本日のお写真はこちらから♪
(お名前フルネームひらがなで♪)

 

★メールでのお問い合わせ、ご予約はこちらから
★お電話でのお問い合わせ、ご予約TEL:098-955-4430まで♪

 

慶良間FUNダイビング!!

沖縄が世界に誇れる海、慶良間諸島!
2014年に国立公園として指定され、さらに注目度は上がりました。
慶良間ブルーと呼ばれる透明度、サンゴ、マクロ~ワイドまで多彩な生物たち。
どんなダイバーでも虜になる海がここにあります♪
慶良間FUNダイビングの様子は⇒こちらのブログをチェック♪
沖縄 ダイビング 慶良間 FUNダイビング
慶良間FUNダイビングの紹介ページはこちらから!
↑パソコンサイトです♪
FUNダイビングの紹介ページはこちらから!
↑携帯サイトです♪

のんびり慶良間FUN♪

2017年06月12日

慶良間FUNダイビング!!

沖縄が世界に誇れる海、慶良間諸島!
2014年に国立公園として指定され、さらに注目度は上がりました。
慶良間ブルーと呼ばれる透明度、サンゴ、マクロ~ワイドまで多彩な生物たち。
どんなダイバーでも虜になる海がここにあります♪
慶良間FUNダイビングの様子は⇒こちらのブログをチェック♪
沖縄 ダイビング 慶良間 FUNダイビング
慶良間FUNダイビングの紹介ページはこちらから!
↑パソコンサイトです♪
FUNダイビングの紹介ページはこちらから!
↑携帯サイトです♪

 

はいたい!
YUKIHOです☺

久々どんより空の沖縄・・
慶良間も一時雷ゴロゴロの大雨になりましたが、それ以外はべた凪の中楽しんでこれました🎵
リピーター様Rさんと最終日、ファンダイビングでーす!

①サンチン②灯台下③カミグー

ぐるぐる探検して、太陽がほしいね~って言いながらサンゴ畑を泳ぎ・・

沖縄 慶良間 慶良間諸島 ファンダイビング ボートダイビング

沖縄 慶良間 慶良間諸島 ファンダイビング ボートダイビング

お目当てのこの代わりにフリフリ可愛いこがいたり・・

沖縄 慶良間 慶良間諸島 ファンダイビング ボートダイビング

ラストは久々まるさん登場でした🐢

沖縄 慶良間 慶良間諸島 ファンダイビング ボートダイビング

沖縄 慶良間 慶良間諸島 ファンダイビング ボートダイビング

近寄った瞬間、自らこちらに泳いできた、まったく愛くるしいんだから~💕

のんびり3ダイブ、ありがとうございましたー!!!!

沖縄 慶良間 慶良間諸島 ファンダイビング ボートダイビング

次は念願の船上BBQも!?
またご一緒できるのを楽しみにしてまーす✨

 

参加者全員にその日に撮らしていただいた写真をプレゼントしています!
Rさん3日間お写真はこちらから♪

 

★メールでのお問い合わせ、ご予約はこちらから
★お電話でのお問い合わせ、ご予約TEL:098-955-4430まで♪

 

ココがいいからアルファに決まり!!

ゲストから大好評のお菓子BOX!
小腹が空いた時、休憩中のお話と共に、晩御飯までのつなぎとして。
コーヒーやピーチティーなど、飲み物も充実しています!
沖縄 ダイビング アルファダイブ
オールシーズン快適!!嬉しい無料グッズ&システム♪
↑PC版はこちらから♪
ココがいいからアルファに決まり!
↑スマホ版はこちらから♪

午前・午後とFUNダイビングはチービシ諸島へ🎵

2017年06月10日

慶良間FUNダイビング!!

沖縄が世界に誇れる海、慶良間諸島!
2014年に国立公園として指定され、さらに注目度は上がりました。
慶良間ブルーと呼ばれる透明度、サンゴ、マクロ~ワイドまで多彩な生物たち。
どんなダイバーでも虜になる海がここにあります♪
慶良間FUNダイビングの様子は⇒こちらのブログをチェック♪
沖縄 ダイビング 慶良間 FUNダイビング
慶良間FUNダイビングの紹介ページはこちらから!
↑パソコンサイトです♪
FUNダイビングの紹介ページはこちらから!
↑携帯サイトです♪

 

はいさい、安田です。
今日のベータ号は、午前・午後便に分かれて出港🚢

沖縄 チービシ諸島 ナガンヌ島 クエフ島 ダイビング ファンダイビング ボートダイビング 

午前は最終日のリピーターさんが、お友達と一緒に。
①ナガンヌ北、②クエフ北へ。

ナガンヌではカメ狙い!!と意気揚々と沖合へ出るも、影すらなし。。。泣
ビデオやカメラをお持ちのゲストだったので、サンゴゾーンやツユベラの幼魚などをじっくりと狙っていただきました📷

沖縄 チービシ諸島 ナガンヌ島 クエフ島 ダイビング ファンダイビング ボートダイビング 

沖縄 チービシ諸島 ナガンヌ島 クエフ島 ダイビング ファンダイビング ボートダイビング 

クエフはアンカードリフトで。
気持ち良い流れとともに、新開拓🎵
根の周りに舞うキホシスズメの幼魚や、ハナゴイたちが本当にきれい✨
サンゴもモリモリでしたよ~✌

沖縄 チービシ諸島 ナガンヌ島 クエフ島 ダイビング ファンダイビング ボートダイビング 

沖縄 チービシ諸島 ナガンヌ島 クエフ島 ダイビング ファンダイビング ボートダイビング 

Sさん3日間、ありがとうございました!Yさんも本日ご一緒させていただけて楽しかったです🎵
またぜひ沖縄の海へ~!!!!

さてさてここからはYUKIHOがバトンタッチ!
午後から到着後のリピーター様とマンツーマンで✌

1本目は初めての場所・・どきどきしながら深場へ・・
そしていました、ギンガメアジ!

沖縄 チービシ諸島 ナガンヌ島 クエフ島 ダイビング ファンダイビング ボートダイビング 

・・が、すぐに逃げ去りました、残念。

その他根の先端で待ってると、ネムリブカにナポレオン♀、イソマグロの群れなど。
すっこーんと抜けたブルーがとってもきれいでした✨

沖縄 チービシ諸島 ナガンヌ島 クエフ島 ダイビング ファンダイビング ボートダイビング 

沖縄 チービシ諸島 ナガンヌ島 クエフ島 ダイビング ファンダイビング ボートダイビング 

沖縄 チービシ諸島 ナガンヌ島 クエフ島 ダイビング ファンダイビング ボートダイビング 

沖縄 チービシ諸島 ナガンヌ島 クエフ島 ダイビング ファンダイビング ボートダイビング 

沖縄 チービシ諸島 ナガンヌ島 クエフ島 ダイビング ファンダイビング ボートダイビング 

2本目は安田さんたちも潜ってた浅場のポイント。
キラキラキラキラしてました、気持ち良かった~~~☺

沖縄 チービシ諸島 ナガンヌ島 クエフ島 ダイビング ファンダイビング ボートダイビング 

沖縄 チービシ諸島 ナガンヌ島 クエフ島 ダイビング ファンダイビング ボートダイビング 

沖縄 チービシ諸島 ナガンヌ島 クエフ島 ダイビング ファンダイビング ボートダイビング 

こちらでも最後にネムリブカ登場、かなり近くまで泳いできましたよん。

沖縄 チービシ諸島 ナガンヌ島 クエフ島 ダイビング ファンダイビング ボートダイビング 

明日は慶良間体験、万座ファンと久々に別方面で潜ってきまーす!!!

 

参加者全員にその日に撮らしていただいた写真をプレゼントしています!
AMファンチームお写真はこちらから♪

 

★メールでのお問い合わせ、ご予約はこちらから
★お電話でのお問い合わせ、ご予約TEL:098-955-4430まで♪

 

自社船ベータ号!!

2017年、アルファダイブに強力なNEWフェイスが!
自社船・ベータ号の登場です!!
慶良間を主に、本島近海でのメニューも開催。
アルファダイブが提供する新スタイルを、お楽しみください!
沖縄 ダイビング 自社船
体験ダイビングの各メニューはこちらから!
FUNダイビングの各メニューはこちらから!

午前・午後とFUNダイビングはチービシ諸島へ🎵

2017年06月10日

慶良間FUNダイビング!!

沖縄が世界に誇れる海、慶良間諸島!
2014年に国立公園として指定され、さらに注目度は上がりました。
慶良間ブルーと呼ばれる透明度、サンゴ、マクロ~ワイドまで多彩な生物たち。
どんなダイバーでも虜になる海がここにあります♪
慶良間FUNダイビングの様子は⇒こちらのブログをチェック♪
沖縄 ダイビング 慶良間 FUNダイビング
慶良間FUNダイビングの紹介ページはこちらから!
↑パソコンサイトです♪
FUNダイビングの紹介ページはこちらから!
↑携帯サイトです♪

 

はいさい、安田です。
今日のベータ号は、午前・午後便に分かれて出港🚢

沖縄 チービシ諸島 ナガンヌ島 クエフ島 ダイビング ファンダイビング ボートダイビング 

午前は最終日のリピーターさんが、お友達と一緒に。
①ナガンヌ北、②クエフ北へ。

ナガンヌではカメ狙い!!と意気揚々と沖合へ出るも、影すらなし。。。泣
ビデオやカメラをお持ちのゲストだったので、サンゴゾーンやツユベラの幼魚などをじっくりと狙っていただきました📷

沖縄 チービシ諸島 ナガンヌ島 クエフ島 ダイビング ファンダイビング ボートダイビング 

沖縄 チービシ諸島 ナガンヌ島 クエフ島 ダイビング ファンダイビング ボートダイビング 

クエフはアンカードリフトで。
気持ち良い流れとともに、新開拓🎵
根の周りに舞うキホシスズメの幼魚や、ハナゴイたちが本当にきれい✨
サンゴもモリモリでしたよ~✌

沖縄 チービシ諸島 ナガンヌ島 クエフ島 ダイビング ファンダイビング ボートダイビング 

沖縄 チービシ諸島 ナガンヌ島 クエフ島 ダイビング ファンダイビング ボートダイビング 

Sさん3日間、ありがとうございました!Yさんも本日ご一緒させていただけて楽しかったです🎵
またぜひ沖縄の海へ~!!!!

さてさてここからはYUKIHOがバトンタッチ!
午後から到着後のリピーター様とマンツーマンで✌

1本目は初めての場所・・どきどきしながら深場へ・・
そしていました、ギンガメアジ!

沖縄 チービシ諸島 ナガンヌ島 クエフ島 ダイビング ファンダイビング ボートダイビング 

・・が、すぐに逃げ去りました、残念。

その他根の先端で待ってると、ネムリブカにナポレオン♀、イソマグロの群れなど。
すっこーんと抜けたブルーがとってもきれいでした✨

沖縄 チービシ諸島 ナガンヌ島 クエフ島 ダイビング ファンダイビング ボートダイビング 

沖縄 チービシ諸島 ナガンヌ島 クエフ島 ダイビング ファンダイビング ボートダイビング 

沖縄 チービシ諸島 ナガンヌ島 クエフ島 ダイビング ファンダイビング ボートダイビング 

沖縄 チービシ諸島 ナガンヌ島 クエフ島 ダイビング ファンダイビング ボートダイビング 

沖縄 チービシ諸島 ナガンヌ島 クエフ島 ダイビング ファンダイビング ボートダイビング 

2本目は安田さんたちも潜ってた浅場のポイント。
キラキラキラキラしてました、気持ち良かった~~~☺

沖縄 チービシ諸島 ナガンヌ島 クエフ島 ダイビング ファンダイビング ボートダイビング 

沖縄 チービシ諸島 ナガンヌ島 クエフ島 ダイビング ファンダイビング ボートダイビング 

沖縄 チービシ諸島 ナガンヌ島 クエフ島 ダイビング ファンダイビング ボートダイビング 

こちらでも最後にネムリブカ登場、かなり近くまで泳いできましたよん。

沖縄 チービシ諸島 ナガンヌ島 クエフ島 ダイビング ファンダイビング ボートダイビング 

明日は慶良間体験、万座ファンと久々に別方面で潜ってきまーす!!!

 

参加者全員にその日に撮らしていただいた写真をプレゼントしています!
AMファンチームお写真はこちらから♪

 

★メールでのお問い合わせ、ご予約はこちらから
★お電話でのお問い合わせ、ご予約TEL:098-955-4430まで♪

 

自社船ベータ号!!

2017年、アルファダイブに強力なNEWフェイスが!
自社船・ベータ号の登場です!!
慶良間を主に、本島近海でのメニューも開催。
アルファダイブが提供する新スタイルを、お楽しみください!
沖縄 ダイビング 自社船
体験ダイビングの各メニューはこちらから!
FUNダイビングの各メニューはこちらから!

マンツーマンで、砂辺2daysファンダイブ!

2017年06月09日

ビーチFUNダイビング!!

ショップ前の海は、沖縄本島2大ビーチポイントの1つ、宮城(砂辺)海岸!
到着後に、ゆったりと潜りたい方。
ブランクがあるのでリフレッシュダイブをしたい方。
カメラ派ダイバーの皆さん…など。
施設も整っているので、のんびりと潜ることが可能です♪
ポイントの様子は⇒こちらのブログをチェック♪
沖縄 ダイビング FUNダイビング ビーチ 砂辺
ビーチFUNダイビングはこちらから!
↑パソコンサイトです♪
FUNダイビングの紹介ページはこちらから!
↑携帯サイトです♪

 

はいさい、安田です。

昨日・今日と、リピーター様と砂辺を2日間にわたってFUNダイビング✨

マンツーマンということもあり、いろいろ目標を作って来られたそうです😊
スキルアップや、インストラクター独り占めは、この時期の特権ですね👍

今回は特にカメラ練習をメインに📷
多くの被写体を撮るのではなく、その生物に合わせた設定や、撮りたい絵をイメージしながらじっくりと。
沖縄 ダイビング 砂辺 FUNダイビング
ゲストが撮っている間に、自分も隣で練習(笑)
沖縄 ダイビング 砂辺 FUNダイビング
沖縄 ダイビング 砂辺 FUNダイビング沖縄 ダイビング 砂辺 FUNダイビング
ん~、やはり練習あるのみですね💦

2日目ともなると、何と無くコツのようなものが分かってきたのではないでしょうか?
沖縄 ダイビング 砂辺 FUNダイビング
沖縄 ダイビング 砂辺 FUNダイビング

今日は被写体もいろいろ探しながら👀
ヒレナガネジリンボウとコトブキテッポウエビの組み合わせは、大好きです🎵
沖縄 ダイビング 砂辺 FUNダイビング

Facebookには速報で上がりましたが、昨夜は北谷店前の宮城海岸でサンゴの産卵が✨
朝一の水面にはバンドル(ピンクの粒粒)が浮き上がり、水中が反射してることもあり不思議な絵となりました😊
沖縄 ダイビング 砂辺 FUNダイビング

海草についたバンドルを食べようと、チョウハンも集団行動🐠
沖縄 ダイビング 砂辺 FUNダイビング

今日も産卵すると思うので、夜活の予定(笑)
明日は慶良間方面へ出向予定です👍

 

参加者全員にその日に撮らしていただいた写真をプレゼントしています!
K様・2日間のお写真はこちらから♪

 

★メールでのお問い合わせ、ご予約はこちらから
★お電話でのお問い合わせ、ご予約TEL:098-955-4430まで♪

 

自社船ベータ号!!

2017年、アルファダイブに強力なNEWフェイスが!
自社船・ベータ号の登場です!!
慶良間を主に、本島近海でのメニューも開催。
アルファダイブが提供する新スタイルを、お楽しみください!
沖縄 ダイビング 自社船
体験ダイビングの各メニューはこちらから!
FUNダイビングの各メニューはこちらから!