慶良間FUN&体験ダイビング!

2015年07月31日

 

 

はいさい、安田です。
今日もお天気・海況バッチリ!!
昨日からのリピーターさんと、体験ダイバーの皆さんとで、慶良間へ♪
沖縄 ダイビング 慶良間 FUNダイビング 体験ダイビング

前島東のポイントは、今、浅瀬のスルルー(キビナゴ)が凄い!!
海の中に川があるように、大群でいましたよ!
沖縄 ダイビング 慶良間 FUNダイビング 体験ダイビング
FUNチームは、真っ白な砂地を抜け、チンアナゴスポットまで♪
沖縄 ダイビング 慶良間 FUNダイビング 体験ダイビング

今回の旅行のテーマはウミガメ!
と期待も膨らむ少年ダイバーD君。
FUNチームも体験チームも全員でウミガメに出会えることが出来ました♪
沖縄 ダイビング 慶良間 FUNダイビング 体験ダイビング
一番安心したのは、お母さんでもなく、スタッフです(笑)

青空弁当も、天気が良いので、一層美味しかったですね!
沖縄 ダイビング 慶良間 FUNダイビング 体験ダイビング

FUNチームの3本目は写真大会。
カメラの撮れ具合は、如何でしたか~?
沖縄 ダイビング 慶良間 FUNダイビング 体験ダイビング
その間、体験チームは海遊び。
たっぷり沖縄での夏休みを堪能しましたね♪
沖縄 ダイビング 慶良間 FUNダイビング 体験ダイビング

また沖縄に来られるときには、遊びに来てくださいね~!

 

【コーナー:今日の生き物♪】
その日の気分で紹介しましょうね。

ハナゴンベ
ハナゴンベ

初めて見たとき、こんなにも綺麗な魚がいるのかと衝撃を受けました♪
カメラ派ダイバーにも人気の魚です。
深場にいることの多い種ですが、今回出会ったのは、18mほど。
これからのルートで確認して行こうと思います!

 

 

参加者全員にその日に撮らしていただいた写真をプレゼントしています!
宜野湾・慶良間FUNチームはこちらから♪
レンタルカメラチームはこちらから♪
体験ダイビングチームはこちらから♪

 

 

到着後からボートダイビング♪

2015年07月30日

 

 

今日も良い天気でした!!

ますます黒く・・・いや、まだまだこれから

武富です。

リピーターさまとマンツーマンでFUNダイビングをしてきましたーー
カメラダイビングを希望していたので、レンタルカメラの中の最新機種を♪

沖縄らしさの風景や生物をパチリパチリと楽しんでもらいました。
予想以上にハマったようです♪

そして、今日の宜野湾は最高でした!!
透明!!
魚影!!
レアな生き物たち♪

沖縄 ダイビング 宜野湾

沖縄 ダイビング カエルアンコウ

沖縄 ダイビング イソギンチャクの白化

沖縄 ダイビング 宜野湾サンゴ

沖縄 ダイビング ハナミノカサゴ

カエルアンコウに期待薄で挑んだロウニンアジもゲットです♪
まぁ、予想が当たり過ぎてビックリして写真は撮れず・・・

ゲストが一番喜んだのは・・・ハマミノカサゴ~
北海道でも潜るそうですが、やっぱりいないのかな♪

 

【コーナー:今日の生き物♪】
その日の気分で紹介しましょうね。

オニハタタテダイ
沖縄 ダイビング 慶良間 体験ダイビング

ハタタテダイ、ムレハタタテダイ、オニハタタテダイ。。。名前が似ていますね。
皆さんは違いは分かりますか?
オニハタタテダイは、他2種とは背びれの長さが違うことから、見分けがつきます。
ハタタテと、ムレハタタテは、そのままですが群れているかどうか笑
水中で出会ったら、見分けてみてくださいね♪

 

万座、FUNダイビング!

2015年07月29日

 

 

はいさい、安田です。
昨日に引き続き、Kさんと万座FUNダイビングです♪

慶良間では砂地に行かなかったので、今日は、なかゆくいからスタート!
カクレクマノミはもちろん、ミナミウミノシタなど、砂地にしかいない生物をたくさん観察。
沖縄 ダイビング 万座 FUNダイビング
お天気も良かったので、水面のキラキラが砂地に反射してとっても綺麗でしたね♪
ウミテングはまたリベンジしましょう(汗)

2本目はがらりと変わって、ミニドリームホール。
縦穴では、正直テンパッていましたね(笑)
沖縄 ダイビング 万座 FUNダイビング
浅瀬のサンゴと、今まで見たことのなかった風景は、癒し効果抜群だったのではないでしょうか♪
沖縄 ダイビング 万座 FUNダイビング
テングカワハギや、ハナゴンベにも出会え、大満足の1本になりました!
沖縄 ダイビング 万座 FUNダイビング

ラストは、クロスライン。
トウアカクマノミが卵を育てていましたよ♪
そろそろ孵化しそうですね~。
沖縄 ダイビング 万座 FUNダイビング
ヤシャハゼにも出会えましたが、写真が撮れなかったのが悔やまれます。。。
また見に行きましょう♪
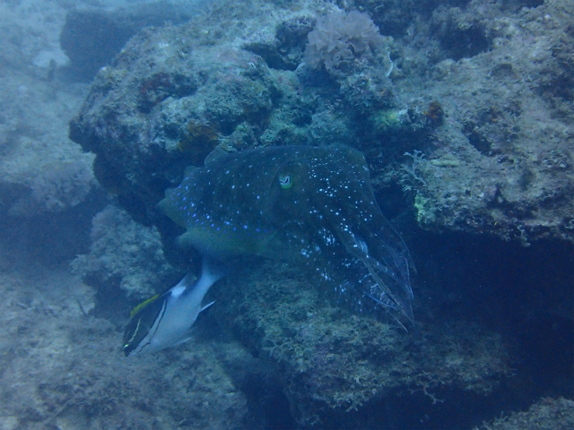
あ、大きなコブシメにも出会えましたよ!
沖縄 ダイビング 万座 FUNダイビング

2日間のFUNダイビング、ありがとうございました!
お友達にも、再度ライセンスを取ってもらって、またFUNで遊びに来てくださいね~♪

 

【コーナー:今日の生き物♪】
その日の気分で紹介しましょうね。

ハナゴンベ
ハナゴンベ

初めて見たとき、こんなにも綺麗な魚がいるのかと衝撃を受けました♪
カメラ派ダイバーにも人気の魚です。
深場にいることの多い種ですが、今回出会ったのは、18mほど。
これからのルートで確認して行こうと思います!

 

 

参加者全員にその日に撮らしていただいた写真をプレゼントしています!
2日間体験チームはこちらから♪

 

 

マンツーマン、FUNダイブ♪

2015年07月28日

 

 

はいさい、安田です。
リピーターさんと、慶良間にてFUNダイビングを楽しんできました♪

今までは、ライセンスを持っていても、体験ダイビングだったKさん。
今回は、リフレッシュをしながらのFUNダイビングです♪
沖縄 ダイビング 慶良間 FUNダイビング

1本目は、黒島:ヒージャーベイ。
リフレッシュとは言うものの、アルファで何度も体験をされているので、泳ぎは大丈夫♪
中性浮力のおさらいや、トラブル対応を確認した後、キビナゴの群れを見に。
すると、いきなりのネムリブカ登場でした!
良いスタートがきれましたね♪
沖縄 ダイビング 慶良間 FUNダイビング

2本目のタマナーファームでは、休憩中のアオウミガメと記念写真。
沖縄 ダイビング 慶良間 FUNダイビング
いつも見てきたクマノミも、じっくりと観察すれば、イソギンチャクに隠れる甲殻類もたくさん発見できましたね。

ラストは、黒島:ツインロック。
まだ離れ根まではいきませんでしたが、ダイナミックな風景は楽しんでもらえました♪
キホシスズメダイや、キンギョハナダイ、グルクンの大群も見れたと思いきや、ここでも大きなネムリブカ!!
サメ運持ってますね!
沖縄 ダイビング 慶良間 FUNダイビング

沖縄 ダイビング 慶良間 FUNダイビング

明日は、万座ダイビングを楽しみましょう♪

 

【コーナー:今日の生き物♪】
その日の気分で紹介しましょうね。

コガシラベラ
沖縄 ダイビング 慶良間 体験ダイビング

ベラの仲間は、産まれてすぐに産卵が出来るように、全てメスの状態で産まれます。
成熟する中で、強く大きいものだけが、オスとして性転換します。
しかし、このコガシラベラは一部、最初からオスとして産まれるものもいるようです。
写真はコガシラベラの幼魚ですが、オス・メスの区別は外見では分かりません。。

 

 

参加者全員にその日に撮らしていただいた写真をプレゼントしています!
慶良間FUNチームはこちらから♪

 

 

到着、砂辺体験ダイビング♪

2015年07月27日

 

 

はいさい、安田です。
到着後のお2人と、砂辺で体験ダイビングです♪

AOWダイバーと、初ダイビングのお連れ様。
多少風波がありましたが、砂辺希望だったので、開催です!

初めての体験ダイビングということでしたが、水中に入ってみると、とっても上手!
沖縄 ダイビング 砂辺 体験ダイビング
耳抜きにさえなれてしまえば、1本目から、たくさんの魚達を観察できましたね。
綺麗な魚達より、地味な魚が好き!!といわれていたので、オグロトラギスや、ギンポの仲間に興味津々でしたね♪
沖縄 ダイビング 砂辺 体験ダイビング

2本目はお花畑へ。
二人で一緒に泳いだり、断崖絶壁に群れるスズメダイ達を見たりと、透明度の低い海でも楽しめました♪
沖縄 ダイビング 砂辺 体験ダイビング
念願のウミウシも発見できましたね。
沖縄 ダイビング 砂辺 体験ダイビング

次回は慶良間のダイビングにも参加してみてくださいね~!

 

【コーナー:今日の生き物♪】
その日の気分で紹介しましょうね。

コガシラベラ
沖縄 ダイビング 慶良間 体験ダイビング

ベラの仲間は、産まれてすぐに産卵が出来るように、全てメスの状態で産まれます。
成熟する中で、強く大きいものだけが、オスとして性転換します。
しかし、このコガシラベラは一部、最初からオスとして産まれるものもいるようです。
写真はコガシラベラの幼魚ですが、オス・メスの区別は外見では分かりません。。

 

 

参加者全員にその日に撮らしていただいた写真をプレゼントしています!
砂辺チームはこちらから♪

 

 

復活 慶良間体験ダイビング♪

2015年07月27日

 

 

台風明けの慶良間から!!
武富です。

とりあえずの写真のUPです。
楽しさは、写真から伝わるでしょう(笑)

そして、写真をUPしたと思っていたら忘れていましたーーーすみません。。。
本日(7月30日)再度、UPしました~

沖縄 体験ダイビング

沖縄 体験ダイビング ウミガメ

沖縄 体験ダイビング

沖縄 体験ダイビング

沖縄 体験ダイビング

沖縄 体験ダイビング

沖縄 体験ダイビング

沖縄 体験ダイビング

Yさんチーム
不安だらけのメンバーもいましたが、全員がスムーズにウミガメに会えましたね♪
なにより全員が潜れて、楽しんでいただけた事が嬉しいです!!
かなーりハマられたようなRちゃん♪ぜひぜひダイバーの世界へ(笑)
それにつられて全員、ダイバーの道へGO♪

最後に写真が遅れてすみませんでした!!

Tさんチーム
賑やかで何よりでした!!
皆様のおかげで船の雰囲気もかなり盛り上がりましたので、本当にありがとうございました(笑)朝の遅れと病歴のチェックミスは、来年にまた帰ってくるという事を約束にチャラにしましょう(笑)
ぜひぜひ、また皆さんと潜りに行きたいですね~

 

【コーナー:今日の生き物♪】
その日の気分で紹介しましょうね。

コガシラベラ
沖縄 ダイビング 慶良間 体験ダイビング

ベラの仲間は、産まれてすぐに産卵が出来るように、全てメスの状態で産まれます。
成熟する中で、強く大きいものだけが、オスとして性転換します。
しかし、このコガシラベラは一部、最初からオスとして産まれるものもいるようです。
写真はコガシラベラの幼魚ですが、オス・メスの区別は外見では分かりません。。

 

 

参加者全員にその日に撮らしていただいた写真をプレゼントしています!
慶良間体験ダイビングチームはこちらから♪
レンタルカメラチームはこちらから♪
 

 

慶良間体験ダイビングからの~♪

2015年07月25日

 

どーも
武富です。

最近の沖縄では、いや、日本の観光地がどこも同じでしょうね。
中国や韓国、香港、台湾などからのお客様がとっても多くなってきましたね~

そういう中でアルファダイブにもチラホラきていただいております。
ただ僕たちはしゃべれないので、ほとんどが日本在住経験者ですが(笑)

今回のゲストはなんと沖縄に9年間も住んでいたことがあるSさんとそのお連れ様Kさんです♪

慶良間での体験ダイビングの予約から、そこからどんどん話が広がって・・・
ダイバーになっちゃいました(笑)

そして、

ジンベイザメダイビングまでしてきましたーー
いやー、ダイビングで伝わる笑顔は言葉を超えますね♪
沖縄 ダイビング

沖縄 ダイビング

沖縄 ダイビング

沖縄 ダイビング

沖縄 ダイビング

もともとお二人は、経験者でした。加えて慶良間での体験ダイビングをしてからの講習だったのでスキルはとても上手!!
すぐに泳ぎ回っていました~
ただ真栄田岬の階段は・・・1本で十分だったようです。強引に2回も連れて行きましたが(笑)

講習の2日目は慶良間にて♪ラストは遊びの1ダイブにKさんのみ参加♪
この時期ならでは、これぞダイビング!!という黒島北ツインロックを満喫してもらいました~

沖縄 ダイビング

沖縄 ダイビング

沖縄 ダイビング

沖縄 ダイビング

沖縄 ダイビング

最終日は、ジンベイザメとダイビング♪
連日で潜っているのでお二人ともとっても上手。すこーし、ミス(笑)もありましたが、一番余裕をもって楽しめたのではないでしょうか??

長いようで、あっという間の4日間。。。
最後は笑顔で再会を誓いました。
すこーしさみしいですね(笑)

またすぐ会えるでしょう♪

ゲストと言葉が違う、文化が違う、となると命を預かるレジャーであるダイビングはとても難しくなります。
しかし、海を安全に楽しみたい気持ちは同じです。こちらがしっかりすれば伝わりますね♪
『きっと世界の共通言語は、英語じゃなくて笑顔だと思う』
高橋優の歌の歌詞を思い出しましたとさ♪

【コーナー:今日の生き物♪】
その日の気分で紹介しましょうね

ジンベイザメ・・・じゃなくてそのまわりのツムブリ(笑)
沖縄 ダイビング ジンベエザメ 体験ダイビング

ジンベイザメダイビングにいくと、なにかと目に付くこのコ。
まったくの自然で群れているシーンはあまり見ないのですが、黒島北で出会った時の迫力はすごかったです♪
レインボーランナーという英名がつくように体の線が特徴的♪
潮の通るポイントでみかけるとジンベイの時に見るよりテンションがあがるのは、僕だけではないはず(笑)

 

 

参加者全員にその日に撮らしていただいた写真をプレゼントしています!
慶良間 OW ジンベイチームはこちらから♪

 

 

台風前に、ご家族で慶良間体験ダイビング♪

2015年07月24日

 

 

はいさい、安田です。
またまた台風が来てますね~。
今回のは足が速そうなので、早く過ぎ去って欲しいものです!
さて、今日までは慶良間便も出港したので、ご家族とともに体験ダイビングでした♪
沖縄 ダイビング 慶良間 体験ダイビング

一昨日に青の洞窟で体験ダイビングをされた皆さん。
Y君はちょっと耳抜きがし辛かったようですが、スノーケリングでも良く遊んでいることから、呼吸などは問題なし♪
沖縄 ダイビング 慶良間 体験ダイビング
お父さんお母さんも、問題なく、1本目の水なれもすんなりクリア!
ただ、ウミガメポイントでは1ダイブだったので、出会えませんでした。。。
またのリベンジをお願い致します(汗)

2ダイブ目は、前島のサンチンへ。
Y君は旅行最終日の疲れもあってか、1ダイブで休憩♪
お父さんお母さんは、沖のミジュンの群れや、チンアナゴ、数々の熱帯魚たちを観察しに。
沖縄 ダイビング 慶良間 体験ダイビング
沖縄 ダイビング 慶良間 体験ダイビング
お父さんは、レンタルカメラでたくさんの思い出を撮られていました♪

次回は、ご家族全員でウミガメとの記念写真を撮りましょう!
ありがとうございました!!

 

【コーナー:今日の生き物♪】
その日の気分で紹介しましょうね。

コガシラベラ
沖縄 ダイビング 慶良間 体験ダイビング

ベラの仲間は、産まれてすぐに産卵が出来るように、全てメスの状態で産まれます。
成熟する中で、強く大きいものだけが、オスとして性転換します。
しかし、このコガシラベラは一部、最初からオスとして産まれるものもいるようです。
写真はコガシラベラの幼魚ですが、オス・メスの区別は外見では分かりません。。

 

 

参加者全員にその日に撮らしていただいた写真をプレゼントしています!
慶良間体験ダイビングチームはこちらから♪

 

 

リピーターさんと、慶良間体験ダイビング♪

2015年07月23日

 

はいさい、安田です。
一昨年のリピーターさんが、遊びに来てくれました♪
道中は少し揺れましたが、お天気はバッチリでした!
沖縄 ダイビング 慶良間 体験ダイビング

前回もウミガメを見れたので、今回も見たいです!とのリクエスト!!
小田が担当で一緒に見れているので、これは僕も頑張らねばなりません(笑)

1本目は軽く船酔いもあったので、一先ず海に入り、水に慣れることから♪
透明度も戻ってきており、20mはあったのではないでしょうか。
沖縄 ダイビング 慶良間 体験ダイビング

水中に慣れた2本目には、ガッツリとウミガメを探しに!!
Uターン寸前で、タイマイゲット!!
沖縄 ダイビング 慶良間 体験ダイビング
たくさんの写真を撮り、ボートに戻ると、またまたタイマイと遭遇できました。
マイカメラの撮れ具合はどうでしたか~?
沖縄 ダイビング 慶良間 体験ダイビング

3本目はゆっくりする気持ちでしたが、黒島北の話を聞いて、やっぱり潜る!!
キングオブ慶良間は、潜ってこそ、その価値が分かるポイントでしたね♪
沖縄 ダイビング 慶良間 体験ダイビング

機会があれば、ライセンスを取って、もっと綺麗な水中を見に行きましょう!!
ありがとうございました~♪

 

【コーナー:今日の生き物♪】
その日の気分で紹介しましょうね。

オニハタタテダイ
沖縄 ダイビング 慶良間 体験ダイビング

ハタタテダイ、ムレハタタテダイ、オニハタタテダイ。。。名前が似ていますね。
皆さんは違いは分かりますか?
オニハタタテダイは、他2種とは背びれの長さが違うことから、見分けがつきます。
ハタタテと、ムレハタタテは、そのままですが群れているかどうか笑
水中で出会ったら、見分けてみてくださいね♪

 

 

参加者全員にその日に撮らしていただいた写真をプレゼントしています!
慶良間ダイビングチームはこちらから♪

 

 

家族で慶良間体験ダイビング♪

2015年07月22日

 

 

はいさい、安田です。
年に1回、沖縄に旅行で来られるご家族と、慶良間体験ダイビングでした♪
沖縄 ダイビング 慶良間 体験ダイビング

昨年からダイビングは体験されているようで、一番上手なのは、息子さん?
お父さんと、お母さんはやや緊張気味(笑)

午前中のウミガメポイントでは、お父さんと息子さんはタイマイに大接近!
というか、タイマイから大接近!!
沖縄 ダイビング 慶良間 体験ダイビング
お母さんは、緊張から水面での時間が多かったのですが、何とか1本は潜れましたね♪
沖縄 ダイビング 慶良間 体験ダイビング

一番楽しんでいたのは、お父さんで、3本目のダイナミックポイントを堪能してきました!
沖縄 ダイビング 慶良間 体験ダイビング
また、来年も遊びに来てくださいね~♪

 

 

参加者全員にその日に撮らしていただいた写真をプレゼントしています!
慶良間体験ダイビングチームはこちらから♪