-
近海で体験ダイビング!
2013年10月20日
-
はいさい、安田です。
今回の台風はヤバそうですね~・・・
沖合いもかなりの白波が目立ってきました。ということで、今日はチービシへも行かず、本島近海でシュノーケリング&体験ダイビングです。

体験チームのお2人は今回が初めてのダイビング。
初めて口にするレギュレーターでの呼吸に戸惑った部分もあったようですが、潜ってしまえば快適だった様子。
1本目のグリーンマーカーでは戦争の爪痕(不発弾処理の後や銃の弾)もしっかり見ていただきました。
綺麗な魚が泳ぐ海とは、なんだか不思議な光景でしたね。
休憩中には、シュノーケリングも楽しみました!
2本目にはたくさんのクマノミたちが住む、イナンビシのクマノミパラダイスへ。
記念写真もバッチリ撮ったので、パソコンのデスクトップへどうぞ(笑)
シュノーケリングチームは、武富と一緒に基礎からじっくりと。
潜り方かなり練習したようで、綺麗に出来ていましたね!!
次回は一緒に潜りましょう♪~~~~~~~~~~~~~~~~~~~~~~~~~~~~~
参加者全員にその日に撮らしていただいた写真をプレゼントしています!!
Tag Archives: 沖縄スノーケル
-
久々の慶良間体験ダイビング!
2013年08月26日
-
ハイサイ、安田です。
台風の影響から、近海や青の洞窟でのダイビングが多かったのですが、今日は久しぶりの慶良間です!ご家族とご夫婦の2組のお客様と、ゆったりと体験ダイビングです♪
少し波がありましたが、今日はラッキーなことに豪華船!
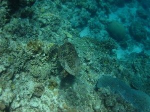
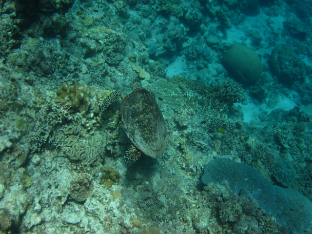
カタマラン船という大きな船なので、あまり揺れも感じませんでしたね。ご夫婦のお2人は、1本目2本目ともにカメを発見。
レンタルカメラでばっちり撮影されていましたね♪
耳が多少抜けにくかったようですが、じっくり慣らしていくと慶良間の海を楽しめたようです。
空き時間には、海遊びもずっと楽しまれていましたね(笑)
また遊びの幅を広げるためにも、機会があればライセンスを取ってくださいね~。


ご家族の皆さんは、お母さんと共に。
ライセンスを持たれているお姉さんは皆の潜っている様子を、カメラでバシバシと撮影されていました♪
お母さんはフルフェイスマスクでの挑戦!!
使い心地はバッチリだったようです(笑)
妹さん、弟さんは最初こそ緊張気味でしたが、海に入ってしまえばへっちゃらでしたね。
次はみんな揃ってカメを見ましょう!

~~~~~~~~~~~~~~~~~~~~~~~~~~~~~
参加者全員にその日に撮らしていただいた写真をプレゼントしています!!
30日限定写真ダウンロードサービス実施中!!
-
近海でシュノーケリング、体験ダイビング!
2013年08月20日
-
そろそろ、台風の風が強くなってきている沖縄から、安田です。
今日は武富チームは、カップルとともに、午前中の近海体験ダイビング。
安田チームは、午前中はご家族と一緒に砂辺でシュノーケリング、午後はカップルとともに近海体験ダイビングです。台風の風の影響から慶良間へは行けませんが、近海でもとっても綺麗なんですよ♪
午前中のカップルはリピーターさん。
海の中にも慣れてきたようで、ソフトコーラルに群れるスズメダイや、ハマクマノミをじっくり観察されていたようです。
またお2人で遊びに来てくださいね~!

ご家族チームも前回、青の洞窟でシュノーケリングをされたリピーターさん。
子供たちもすっかり大きくなり、水中生物への興味も大きくなった様子♪
シュノーケリングはもちろん、イノー観察も楽しかったですね!!
次回はシュノーケリング&磯観察もして、もっと海の生物たちを知ってもらえると嬉しいです♪

午後のカップルチームは、お2人とも初ダイビング!
最初は慣れない口呼吸から緊張もありましたが、慣れればとっても楽しまれていましたね♪
今の時期しかいない、スルル(キビナゴ)の群れはすごかったですね!!
次は予定を立てて、沖縄に遊びに来てくださいね~(笑)

~~~~~~~~~~~~~~~~~~~~~~~~~~~~~
参加者全員にその日に撮らしていただいた写真をプレゼントしています!!
30日限定写真ダウンロードサービス実施中!!
-
慶良間ファンダイビング&体験ダイビング!
2013年08月01日
-
ハイサイ、安田です。
昨日潜っていただいたファン&体験のお2人、DMのダイバーさん、去年体験ダイビングを経験しているご夫婦と一緒に、慶良間です。
体験チームは1本目は水慣れの為にシュノーケリングをするチーム、前日のスキルを思い出すチームに分かれて開始。
スルル(キビナゴ)はダイバーが近づくと慌てふためいていましたね(笑)
ファンダイビングチームはユリヶ浜の生物観察を楽しんだ様子でした。

2本目は、海底洞窟で有名な知志へ。
ファンチームはもちろん洞窟へ♪
光のカーテンを存分に味わったようです。
体験チームは浅い水深で生物観察。
人懐っこいヤマブキベラや、紅白が綺麗なハタタテハゼはピコピコが可愛かったですね(笑)
3本目は、カメポイントこと、カミグー。
ファン&体験チームともに会う事が出来ましたが、シュノーケリングでは会えなかったので、またリベンジに来てくださいね!
~~~~~~~~~~~~~~~~~~~~~~~~~~~~~30日限定写真ダウンロードサービス実施中!!
-
家族と一緒に真栄田、体験ダイビング&シュノーケリング
2013年07月29日
-
ハイサイ!
今日はご家族と共に、真栄田岬で体験ダイビング&シュノーケリングです♪今、真栄田岬では、スルル(キビナゴ)とミジュン(イワシ)の大群が浅瀬で見れる、とっても嬉しい時期となっています。
その魚を食べようと、大型の魚たちも現れています!
体験ダイビングのお母さんと息子さん、シュノーケリングのお父さんもこの時期ならではの真栄田を見る事ができましたね♪体験ダイビングではふわふわと無重力の状態を楽しみ、シュノーケリングでは青の洞窟も覗きに。
メニューは違えど、3人そろっての記念写真も撮る事が出来ました♪また是非、沖縄へ旅行に来られた際には遊びに来てくださいね~♪
~~~~~~~~~~~~~~~~~~~~~~~~~~~~~
30日限定写真ダウンロードサービス実施中!!
-
家族でシュノーケリング&体験?ダイビング
2013年07月05日
-
★電話番号が6月から変わっております。
6月5日より 098-955-4430 に変わっています。
ご迷惑をおかけいたしますが、よろしくお願いたします。
もし、不都合がでた場合は、
090-7585-8476
まで気軽にお問い合わせください。
アルファダイブ
武富粟国&渡名喜島ツアーの季節がやってきました!!
日程もUPいたしました!!こちらから
まだまだ空き日程ありますので、ぜひ♪
ハイサイ、安田です。
先日遊びに来てくださったお客様が、また遊びに来てくれました!
今回は、姪っ子・甥っ子、お父さん・お母さんもご一緒です♪子供たちは元気元気で、「虹色の魚おったー!!」「あの魚めっちゃデッカイ!!」と大興奮♪
泳ぎもとっても上手で、将来が期待できます(笑)
お父さん・お母さんも顔すれすれまで近寄ってくる魚たちを堪能されながら、揃って青の洞窟まで♪

シュノーケリング後、子供たちは元気が有り余っているようで、もう一度海遊び。
ライセンスをお持ちの3名は、久々という事で体験ダイビングへ。
どこが体験ダイバーですか!?と思わずツッコミを入れてしまったほど、皆さん上手(笑)
自然に群れている魚たちや、ドロップオフを眺めながら泳ぐと気持ち良いですね。
途中にはタコを見つけ、たこ焼きにしようと!?捕まえそうになる場面も(汗)
タコには勝てないので、止めておきましょう!
次回からはファンダイビングで、もっと楽しみましょうね!
30日限定写真ダウンロードサービス実施中!!
フェイスブックもよろしくお願いします♪ こちらから!!
ブログランキングに登録しています!!
読んで頂いてる、応援して頂いてる皆様!!
是非、両方のバナーをクリックしてください!!
よろしくお願い致します☆

-
近海ボート体験ダイビング♪
2013年06月26日
-
★電話番号が6月から変わっております。
6月5日より 098-955-4430 に変わっています。
ご迷惑をおかけいたしますが、よろしくお願いたします。
もし、不都合がでた場合は、
090-7585-8476
まで気軽にお問い合わせください。
アルファダイブ
武富粟国&渡名喜島ツアーの季節がやってきました!!
日程もUPいたしました!!こちらから
朝から・・・
迷わず、残波方面へ!!この海況が早く落ち着く事を願いたいものですな。
武富です。
今日は、お2人の体験ダイバーと出かけてきました♪
1本目は、流れが・・・
アンカー打ちから、思いましたが、とっても上手はお2人は、
チビクマノミ見たり、ヤコウガイ見たり、スズメダイの群れ見たり・・・そして、2本目!!
長浜沖です♪
ここは、体験ダイバーにはもってこいのサンゴポイント!!
昨年の台風からも力強く残っているポイントです。いや~癒されますね♪
今回は、慶良間は断念でしたが、これだけ潜れれば、次回はもっと楽ちんですよ!!
慶良間リベンジお待ちしております♪★リピーター割
PADIオープンウォーターコース 5000円オフ
PADIアドバンスコース レンタル無料
OWコース付き添い 1日1000円引き★FUNダイビング
全メニューカード決済可能!!
3デイズで3000円引き!!3月までレンタル器材無料!!
参加者全員にその日に撮らしていただいた写真をプレゼントしています!!
30日限定写真ダウンロードサービス実施中!!
フェイスブックもよろしくお願いします♪ こちらから!!
ブログランキングに登録しています!!
読んで頂いてる、応援して頂いてる皆様!!
是非、両方のバナーをクリックしてください!!
よろしくお願い致します☆

-
修学旅行でシュノーケリング!in那覇
2013年04月24日
-
ハイサイ、安田です。
今日はネイチャーワークスとして、中学校の修学旅行でシュノーケリングを行ってきました。場所は、新しく那覇に出来、オープン寸前の海浜公園です!
(名前はまだ確定していないようです^^;)
シュノーケリングの基本や、危険生物についての話を聞き、5班に分かれて楽しみました。内地と沖縄の海の色はなぜ違うのか?、へんてこな生き物は何の仲間なのか?、気になる生物は何か?、ガンガン泳ぐチームなど、インストラクターの個性も出ていた内容だったようです(笑)


今回のシュノーケリング体験から、沖縄の海に興味を持って、また沖縄に帰って来てくれると嬉しいですね♪
-
スノーケル&リーフトレイル
2013年03月31日
-
★GWの予約はお早めに!!
人気の慶良間便は定員が埋まりやすくなっています!!
今年は・・・
4月27日~5月6日までの最大10日間の方もいらっしゃると思います。
とくに5月3,4,5日のご予約はお早めにお願いたします。粟国&渡名喜島ツアーの季節がやってきました!!
日程もUPいたしました!!こちらから今日は、ネイチャーワークスの武富です。
3世代ご家族と一緒に、一日中海遊びをしてきました!!午前中は、スノーケル。
午後からは、この時期の大潮の干潮を利用してのリーフトレイル♪朝の大雨から開催自体が危ぶまれましたが、残波店にて集合し説明中には晴れ間も見れました♪
ホット一安心して、いざスノーケルへ!!しかーし、手前は濁って大変・・・
頑張って沖の方まで行くようにしてみました。すると、透明度が30Mオーバーの海が広がっていました。
波もありましたが、皆のテンションUP!!
綺麗なサンゴやスズメダイにナマコに盛り上がりました。午後からは、おじいちゃんも加わってのリーフトレイル。
こうやってじっくり見ると、フィールドの楽しさがわかります。
カニやナマコにシャコまで!!
なかなか終わりそうにありませんでしたが、後ろ髪を引かれる思いで終了しました涙ぜひぜひ、これからも自然に海に沖縄に
思いっきり楽しんでください。
また、帰ってこられるときは連絡くださいね~★リピーター割
PADIオープンウォーターコース 5000円オフ
PADIアドバンスコース レンタル無料
OWコース付き添い 1日1000円引き★FUNダイビング
全メニューカード決済可能!!
3デイズで3000円引き!!3月までレンタル器材無料!!
★2013年ツアー第一弾!!2013年4月13日
琉球海炎祭ダイブナイト!!!!!
宜野湾沖ダイビング&花火!!
アルファダイブ初めてのイベントです。
気合が空回りしないようにしませんとな・・・(笑)通常、海炎祭会場へは混雑とともに入場もかかります。
が
基本のダイビング料金のみ!!
たとえば・・・
近海ボート2ダイブ14500+食事代(昼食とBBQ)のみ(笑)
到着日からのご参加大歓迎!!参加者全員にその日に撮らしていただいた写真をプレゼントしています!!
30日限定写真ダウンロードサービス実施中!!
フェイスブックもよろしくお願いします♪ こちらから!!
ブログランキングに登録しています!!
読んで頂いてる、応援して頂いてる皆様!!
是非、両方のバナーをクリックしてください!!
よろしくお願い致します☆

-
天気・海況は良いのですが・・・
2012年07月05日
-
天気・海況は、最高のダイビング日和!!
しかし、
最近、透明度が良くない
うーん・・・それでも、参加してくださったお客様は全員
『綺麗!!』と連発
そりゃ、はじめての慶良間なら誰でもそう思いますよね(笑)しかし、もっと綺麗な時もある!!などと、空気を読まず言ってしまう自分がいました・・・
とはいうものの、最高のダイビング日和!!うーん、1年中ずっとこうであれば良いのに
今日の2チームともとっても上手♪
1本目の練習ダイビングばっちり楽しめたので、意気揚々と2本目へ!!
最近は、ウミガメがすぐ近くにいてくれる事が多いので、後半は、生物紹介で♪
お昼休憩には、嘉手納中学校の社会科実習の生徒の生き物観察に便乗♪ラストは、2名が3ダイブ目へ!!
流れがあったので、マンツーマン体制で、珊瑚と群れるスズメダイ達を堪能してきました!!
ラッキーにも、ここではカクレクマノミ&ウミガメにも遭遇。
いやー、盛りだくさんでした。しばらく、慶良間が続いております♪
本土で眠れるダイバーさん!!
沖縄のTOPシーズンが来ていますよ!!!!!
皆さまお待ちしております(笑)ブログランキングに登録しています!!
読んで頂いてる、応援して頂いてる皆様!!
是非、両方のバナーをクリックしてください!!
よろしくお願い致します☆


098-955-4430.




























