家族でリーフトレイル♪

2015年08月18日

はいさい、安田です。
今日はリーフトレイルを読谷の宇座ビーチで行ってきました。

朝には雨が少し降ったので、お天気が心配でしたが、干潮に合わせた午後からはとっても良いお天気♪
ちょっと暑過ぎましたかね(笑)
沖縄 リーフトレイル

前回はスノーケリングをしましたが、その時見れた生物とは、全く違う干潟観察。
一番興味を持ったもらえたのは、フトユビシャコのパンチ力でしたね!
ケブカガニや、アオヒトデも自分たちで発見でき、次は何が見つけれるかと、ドキドキが続いていました。
沖縄 リーフトレイル

スノーケリングも楽しいけど、こっちも楽しいね!と子供たちにも大好評でした♪
夏休みの自由研究は他のものに決まっているらしいですが、この経験は覚えていてほしいですね。
沖縄 リーフトレイル

 

講習中ですが・・・慶良間体験ダイビング♪

2015年08月18日

 

今日も良い天気でした~

今日は、昔の同僚インストラクターのご紹介で関西から来て下さいました~♪
共に申すトラクターを始めたての頃の仲間とのつながりはとっても嬉しいものです。

そしてなんと、お2人はダイビングの講習中(笑)
取ってからくるのではなく、ノリで潜りに来たそうです(笑)

沖縄 体験ダイビングj

慶良間 体験ダイビング

プール講習は終わっているので、とっても上手。
問題なく透明度抜群の慶良間を堪能できました!!

慶良間 体験ダイビング

慶良間 体験ダイビング

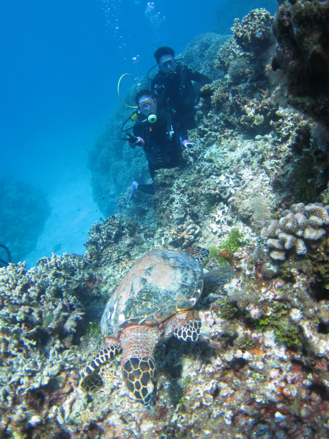
もちろん、ウミガメにだって会えましたよ~♪
2本目にすぐ見れるかと思っていましたが、意外と苦戦しました(笑)

沖縄 体験ダイビング

沖縄 体験ダイビング

話をしていると・・・・
結婚するとかしたとか?入籍は来年?とか・・・式の日程は決まっているけどプロポーズは昨日したとか・・・
水中でこれからプロポーズするから手伝って下さい・・・??
まぁ、順番がよくわかりませんが、できる事はしましょう!!

という事で、黒島ヒージャーベイを楽しんだ後は、水中プロポーズ映像の撮影会に♪
どんな映像ができるかとっても楽しみですね~

ではでは
次にダイバーとしてお2人に会える日を楽しみにしております♪
Mインストラクターにもよろしくお伝えください!!