嵐の前の静けさ!慶良間体験ダイビング

2013年07月10日

ハイサイ、安田です。
台風来ちゃってますね~・・・
少しでも遠い方へ行ってくれる事を願っている、今日この頃。
嵐が来る前に、慶良間で体験ダイビングです!

今日のお客様は、野球観戦に来られたご夫婦。
応援の前に、慶良間で体験ダイビングです!

今日は1本目の水慣れから、カメポイントへ。
お2人とも、最初はマスクへのストレスや、口呼吸になかなか馴染めませんでしたが、徐々に馴れて行きましたね。
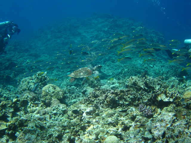
頑張ったお2人にご褒美か、入った瞬間にいきなりカメ!
沖縄 ダイビング 慶良間
少し深い方へ泳いで行ったので、ゆっくりと船へ戻ると、またカメ!!
とってもラッキーでしたね♪

2本目は、砂地が綺麗なポイントへ。
お天気も良いので、白い砂地に自分たちの影がくっきりと写っていましたね♪
今の時期しか見れない、無数のキンメモドキ・スカシテンジクダイは見ごたえありました!
帰りにはニモことカクレクマノミにも会ってきました。
沖縄 ダイビング 慶良間 ニモ カクレクマノミ
沖縄 ダイビング 慶良間

3本目は野球観戦に備えて、体力温存。
でも海は綺麗なので、水遊びを。
沖縄 ダイビング 慶良間

また海がある場所へ遊びに行った時には、ダイビングをしてみてくださいね~。

~~~~~~~~~~~~~~~~~~~~~~~~~~~~~

30日限定写真ダウンロードサービス実施中!!